Студопедия

КАТЕГОРИИ:


Архитектура-(3434)Астрономия-(809)Биология-(7483)Биотехнологии-(1457)Военное дело-(14632)Высокие технологии-(1363)География-(913)Геология-(1438)Государство-(451)Демография-(1065)Дом-(47672)Журналистика и СМИ-(912)Изобретательство-(14524)Иностранные языки-(4268)Информатика-(17799)Искусство-(1338)История-(13644)Компьютеры-(11121)Косметика-(55)Кулинария-(373)Культура-(8427)Лингвистика-(374)Литература-(1642)Маркетинг-(23702)Математика-(16968)Машиностроение-(1700)Медицина-(12668)Менеджмент-(24684)Механика-(15423)Науковедение-(506)Образование-(11852)Охрана труда-(3308)Педагогика-(5571)Полиграфия-(1312)Политика-(7869)Право-(5454)Приборостроение-(1369)Программирование-(2801)Производство-(97182)Промышленность-(8706)Психология-(18388)Религия-(3217)Связь-(10668)Сельское хозяйство-(299)Социология-(6455)Спорт-(42831)Строительство-(4793)Торговля-(5050)Транспорт-(2929)Туризм-(1568)Физика-(3942)Философия-(17015)Финансы-(26596)Химия-(22929)Экология-(12095)Экономика-(9961)Электроника-(8441)Электротехника-(4623)Энергетика-(12629)Юриспруденция-(1492)Ядерная техника-(1748)

Наколка




Измерительная лупа

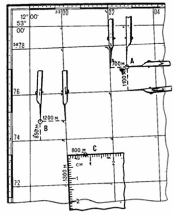
Координатомер

Координатомер – прибор для измерения координат точек на топографических картах с прямоугольной координатной сеткой. Координатомер применяют также для нанесения на карты точек по координатам. Состоит из двух взаимно перпендикулярных линеек с миллиметровыми делениями на рабочих кромках (рис. 38). Эти шкалы равны по длине сторонам квадратов координатной сетки на картах масштабов 1:25000, 1:50000 и 1:100000.

Координатомеры изготавливают из прозрачного пластика или непрозрачного материала.

 

 

Рис. 38. Определение координат точки с помощью

координатомера

 

Представляет собой лупу 10 -кратного увеличения, заключенную в цилиндрическую оправу, в нижней части которой помещена шкала с делениями через 0,1 мм. С помощью этой лупы производят измерения толщин линий и контроль качества чертежа.

Для обеспечения надлежащей точности черчения точки, служащие для построения изображения, накалывают на бумаге специальной иглой – наколкой. Диаметр накола должен быть не более 0,1 мм. Чтобы его не потерять, накол обводят карандашом; причем диаметр карандашного кружка должен быть 2--3 мм.

Наколку можно изготовить и самостоятельно из обыкновенной швейной иглы.

 

Рапидограф

Рапидограф, иначе трубчатый рейсфедер представляет собой капиллярную ручку, предшественницей которой была стеклянная капиллярная трубочка, употреблявшаяся для написания плакатных шрифтов.

Рапидограф можно использовать не только в качестве обычного рейсфедера, но и как кривоножку, а также в качестве пера.

Достоинстваэтого инструмента:

– его не надо заправлять так часто, как обычный рейсфедер;

– он имеет постоянную толщину линии, зависящую от ширины капилляра, по которому поступают чернила или тушь.

Последнее достоинство рапидографа является одновременно и его недостатком. Поскольку рапидограф рисует линию только одной толщины, для изображения линии другой толщины нужен другой рапидограф с иным диаметром капилляра. Значит, для выполнения работы потребуется столько рапидографов, сколько разных по толщине линий требуется начертить. Рапидографы разных диаметров продаются в наборах, бывают отечественного и импортного производства. Но в экономическом отношении это не приемлемо, поскольку стоимость одного рапидографа сравнима со стоимостью небольшой готовальни.




Поделиться с друзьями:


Дата добавления: 2014-11-06; Просмотров: 725; Нарушение авторских прав?; Мы поможем в написании вашей работы!


Нам важно ваше мнение! Был ли полезен опубликованный материал? Да | Нет



studopedia.su - Студопедия (2013 - 2026) год. Все материалы представленные на сайте исключительно с целью ознакомления читателями и не преследуют коммерческих целей или нарушение авторских прав! Последнее добавление




Генерация страницы за: 0.009 сек.