Студопедия

КАТЕГОРИИ:


Архитектура-(3434)Астрономия-(809)Биология-(7483)Биотехнологии-(1457)Военное дело-(14632)Высокие технологии-(1363)География-(913)Геология-(1438)Государство-(451)Демография-(1065)Дом-(47672)Журналистика и СМИ-(912)Изобретательство-(14524)Иностранные языки-(4268)Информатика-(17799)Искусство-(1338)История-(13644)Компьютеры-(11121)Косметика-(55)Кулинария-(373)Культура-(8427)Лингвистика-(374)Литература-(1642)Маркетинг-(23702)Математика-(16968)Машиностроение-(1700)Медицина-(12668)Менеджмент-(24684)Механика-(15423)Науковедение-(506)Образование-(11852)Охрана труда-(3308)Педагогика-(5571)Полиграфия-(1312)Политика-(7869)Право-(5454)Приборостроение-(1369)Программирование-(2801)Производство-(97182)Промышленность-(8706)Психология-(18388)Религия-(3217)Связь-(10668)Сельское хозяйство-(299)Социология-(6455)Спорт-(42831)Строительство-(4793)Торговля-(5050)Транспорт-(2929)Туризм-(1568)Физика-(3942)Философия-(17015)Финансы-(26596)Химия-(22929)Экология-(12095)Экономика-(9961)Электроника-(8441)Электротехника-(4623)Энергетика-(12629)Юриспруденция-(1492)Ядерная техника-(1748)

Лестницы из мелкоразмерных элементов




Основными элементами лестницы являются: косоуры, тетива, подкосоурные балки, лестничные марши и площадки, ступени и ограждения с поручнями.

Косоуры – наклонные элементы, располагаемые под ступенями. Бывают в виде балок: металлических, железобетонных или толстых деревянных досок, опирающихся на подкосоурные балки.

Тетива – ступени располагаются между косоурами.

Подкосоурные элементы – в виде балок горизонтальной конструкции, опирающихся на стены.

Марши – конструкция, состоящая из ряда ступеней, поддерживающих их косоуров или тетив, ограждения с поручнем. Марши служат для перехода конструкции к лестничной площадке.

Лестничные площадки – устраивают на уровне каждого этажа (этажные) или между этажами (промежуточные).

У ступеней вертикальную грань называют подступенком, а горизонтальную – проступью.

Бывает фризовое и безфризовое сопряжение площадок и маршей.

Безфризовое – уровень площадки и уровень первой ступени марша не совпадают (характерно для площадок плитной конструкции).

Фризовое – уровень площадки и уровень первой ступени марша совпадают (площадки ребристой конструкции).

 

 

Деревянные лестницы устраивают в основном в деревянных домах, ограниченно – в каменных (до двух этажей). Деревянные лестницы можно изготавливать с тетивами или косоурами.

В лестницах с тетивами (рис.6.22) ступени находятся между двумя досками толщиной 60-75 мм, которые нижним концом опираются на пол, а верхним – на промежуточную площадку (в случае двухмаршевой или многомаршевой лестницы) или на балку междуэтажного перекрытия (в случае одномаршевой лестницы).

Для повышения надежности ступени лестниц укрепляют в тетивах клиньями, штырями, металлическими шпильками или болтами, шурупами и т.д.

Проступи либо врезают в тетивы, либо крепят к ним с помощью брусков квадратного сечения. Чтобы тетивы не разошлись, их обычно соединяют металлическим прутком диаметром 8-12 мм с резьбой на концах и гайкой.

Наиболее распространенная и надежная конструкция – лестница с врезными ступенями. Для ее изготовления в тетиве делаются вырезы-пазы с глубиной 15-25 мм, в которые вставляются проступи и подступенки, Для того, чтобы конструкция лестницы не оказалась перекошенной, необходимо точно разметить места для пазов в тетиве под подступенки и проступи.

Для того, чтобы изготовить лестницу на косоурах, под­бираются две доски таких же размеров, как и в случае изго­товления лестниц с тетивами. На верхнюю кромку доски кре­пят «кобылки» треугольной формы, а затем на них устанавли­вают проступи (рис. 6.23).

Для крепления «кобылок» 7на косоурах делаются вырезы треугольной формы. «Кобылки» крепятся к косоуру при по­мощи деревянных шкантов на клею или на шурупах, закру­ченных в потай. Иногда треугольные вырезы в косоуре не де­лаются. В этом случае «кобылки» имеют строго треугольную форму.

 

 

 

Рис.6.22. Деревянная лестница с тетивами (поперечный разрез).

 

Лестница может иметь один косоур, который распо­лагается по ее оси, или два косоура, расположенные по краям лестничного марша, либо сдвинутые немного вовнутрь. В случае, если толщина доски, применяемой для косоура, мень­ше оптимальной или ширина лестничного марша более 2,5 м, в средней части марша устанавливается дополнительный косоур.

Ширина доски, применяемой для косоура, должна иметь такую ширину, чтобы после выполнения треугольных вырезов, косоур не потерял прочность.

Косоуры и ступени желательно изготавливать из одного и того же материала. Это может быть дуб, клен, бук, сосна, ель из цельной или клееной древесины. Такие лестницы часто изготавливают без подступенок. Если же возникла необходимость изготовления лестницы с подступенками, их приклеивают в стык, приби­вают или врезают. Для врезки подступенка в нем выбирают паз для сочленения с выступом, выбранным в нижней части верхней проступи.

 

 

Рис.6.23. Конструктивные решения лестниц:

а – деревянная на тетивах с прибоинами; б – деревянные по косоурам;

1 – тетива; 2 – подступенок; 3 – проступь; 4 – балка площадки

(подкосоурная балка); 5 – подшивка; 6 – косоур; 7 – «кобылка».

 

Можно закрепить подступенок к косоуру на клею, шу­рупами, с помощью треугольного бруска или гвоздями через проступь. Изготовление подступенков повышает устойчивость лестницы.

Желательно, чтобы проступь выступала за переднюю плоскость подступенка на расстоянии 20—30 мм и имела зак­ругленный передний край, а вертикальные торцы под­ступенков были срезаны под углом 45° и соединялись на «ус» с вертикальными вырезами косоура, также срезанными под углом 45°. Это необходимо для того, чтобы скрыть торцы под­ступенка.

Для скрытия торцов ступени часто применяют еще и бо­ковой накладной валик.

Чтобы придать лестнице законченный вид, применяют боковые передние пояски, которые представляют собой бру­сочки треугольного сечения со сторонами 30x30 мм.

Соединение деревянных деталей лестницы можно осу­ществлять при помощи шкантов, шурупами, накладны­ми планками или металлическими уголками.

Крепление ступеней к косоуру или к «кобылке» осуществляется при помощи шурупов.

Для того, чтобы шурупы не были видны, в проступи просверливаются отверстия с потаем и под диаметр ширины головки шурупа, а затем отверстия закрываются деревянной пробкой.

Наряду с деревянными лестницами, выполненными по балкам, применяют конст­рукцию винтовой лестницы, в которой все ступени являются забежными. При таком конструктивном решении лестница занимает минимум места (рис.6.24).

Центральным несущим элементом является стойка с консольными ступенями. Длина ступеней винто­вой лестницы должна быть не менее 65 см для удобства прохода одного человека и не более 110 см. Высота ступеней винтовой лестницы обычно не менее 18 см и чаще все­го колеблется в пределах 18-20 см, при ширине ступеней по средней линии не меньше 20 см. Центральная стойка крепится к полу при помощи шурупов (или болтов) с тща­тельной проверкой её вертикальности. Материалом конструкций могут служить дерево металл, главным образом для центральной стойки и несущих консолей.

Использование металла для несущих элементов внутриквартирных лестниц позво­ляет разнообразить их архитектурно-конструктивные решения. Таким оригинальным решением является лестница с

уложенными ступенями по центральной каскадной бал­ке, выполненной из отдельных металлических втулок (рис. 6.25).

Лестницы по металлическим косоурам представлены на рис.6.26. Косоуры обычно делают из двутавров или швеллеров № 14-18. Их сопрягают со стальными площадочными балками на болтах с постановкой угольников или с помощью сварных соединений. По косоурам укладывают ступени главным образом железобетонные, реже ступени из естественного камня.

Ограждения на лестницах (перила) делают обычно металлическими с деревянным поручнем. Стойки ограждения приваривают к стальным закладным деталям ступеней или заделывают на цементном растворе в гнезда, имеющиеся в ступенях. Высота ограждения принимается 850-900

мм по вертикали (от поверхности проступи или площадки до верха поручня).

 

Рис.6.24. Деревянная винтовая лестница:

А – лестница с подступенками; Б – габаритные размеры (a – ширина марша 650х1100 мм, б – диаметр лестницы 1300-2200 мм по наружному краю перил, в – диаметр отверстия в перекрытии 1500-2400 мм); В – конструкция лестницы без подступенок; 1 – опорный узел на болтах; 2 – центральная стойка, 3 – ступень, 4 – стойка перил; 5 – перила; 6 – проем в потолке; 7 – верхний срез центральной стойки; 8 – площадка верхнего перекрытия; 9 – ограждение верхней площадки; 10 – опорный стержень; 11 – втулка стойки.

 

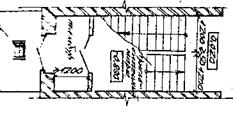
Сборные железобетонные лестницы из мелкоразмерных

элементов монтируют из отдельных косоуров, ступеней, площадочных балок и плит(рис.6.27). Косоуры снабжены на концах шипами, которые при сборке лестницы вводят в гнезда, имеющиеся в площадочных балках.

В зданиях высотой более 10 м с чердаками предусматривают входы на чердаки из лестничной клетки по маршевым лестницам. При высоте здания до 5 этажей включительно допускается устраивать входы на чердаки из лестничных клеток через люки (минимальные размеры 0,6х0,8м) по закрепленным металлическим стремянкам.

В многоэтажных зданиях для эвакуации людей в случае пожара иногда устраивают наружные пожарные металлические лестницы.

Перед входами в здания устраивают наружные крыльца, которые заменяют короткие цокольные марши лестниц, Ступени крыльца часто опирают на две перпендикулярные зданию стенки, возведенные на самостоятельных фундаментах (рис.6.28-6.29).

 

 

Рис. 6.25. Внутриквартирные лестницы по металлическим несущим элементам: а –

варианты планов и разрез лестницы со сборным металлическим косоуром; Б –

винтовая лестница по металлическим консолям; 1 – металлическая втулка; 2 –

соединительные элементы; 3 – металлическая консоль; 4 – деревянная ступень;

5 – отверстия для стоек ограждения; 6 – стойки ограждения.

 

 

 

Рис.6.26. Лестничный марш по стальным косоурам.

 

Рис.6.27. Лестница из сборных железобетонных мелкоразмерных элементов

(при высоте этажа 2,8 м).

 

Деталь устройства козырька представлена на рис.6.30.

 

 

Рис.6.28. Наружные входные лестницы:

а – с каменными ступенями; б – облегченная; в – с монолитными ступенями; г – из железобетонных плит или ступеней, опирающихся на кирпичные стены; 1 – фундамент; 2 – железобетонный косоур; 3- сборные ступени; 4 – несущая рама косоура; 5 – опорный уголок на ширину лестничного марша (63х6).

 

\

в)

Рис.6.29. Устройство входов в здание:

а – козырек над входной ступенью; б – крыльцо; в- тамбур входа; 1-

железобетонная плита; 2 – ступень; 3 – тротуар; 4 – стенка; 5 – фундамент

под стенку; 6 – перекрытие над подвалом.

 

Рис.6.30. Детали устройства козырьков над входами:

1 – железобетонный козырек; 2 – z-образный костыль; 3 – оцинкованная

кровельная сталь; 4 – цементно-песчаная стяжка; 5 – кровельный ковер; 6

антисептированная деревянная пробка; 7 – гвозди; 8 – уголок: 9 –

дополнительные слои рубероида: 10 – монтажная сварка; 11 – закладная

деталь; 12- антисептированный брусок; 13 – трубы для отвода воды; 14 –

кирпичная кладка; 15 – железобетонная перемычка; 16 – экран входа.

 

 




Поделиться с друзьями:


Дата добавления: 2015-04-24; Просмотров: 8837; Нарушение авторских прав?; Мы поможем в написании вашей работы!


Нам важно ваше мнение! Был ли полезен опубликованный материал? Да | Нет



studopedia.su - Студопедия (2013 - 2026) год. Все материалы представленные на сайте исключительно с целью ознакомления читателями и не преследуют коммерческих целей или нарушение авторских прав! Последнее добавление




Генерация страницы за: 0.011 сек.