Студопедия

КАТЕГОРИИ:


Архитектура-(3434)Астрономия-(809)Биология-(7483)Биотехнологии-(1457)Военное дело-(14632)Высокие технологии-(1363)География-(913)Геология-(1438)Государство-(451)Демография-(1065)Дом-(47672)Журналистика и СМИ-(912)Изобретательство-(14524)Иностранные языки-(4268)Информатика-(17799)Искусство-(1338)История-(13644)Компьютеры-(11121)Косметика-(55)Кулинария-(373)Культура-(8427)Лингвистика-(374)Литература-(1642)Маркетинг-(23702)Математика-(16968)Машиностроение-(1700)Медицина-(12668)Менеджмент-(24684)Механика-(15423)Науковедение-(506)Образование-(11852)Охрана труда-(3308)Педагогика-(5571)Полиграфия-(1312)Политика-(7869)Право-(5454)Приборостроение-(1369)Программирование-(2801)Производство-(97182)Промышленность-(8706)Психология-(18388)Религия-(3217)Связь-(10668)Сельское хозяйство-(299)Социология-(6455)Спорт-(42831)Строительство-(4793)Торговля-(5050)Транспорт-(2929)Туризм-(1568)Физика-(3942)Философия-(17015)Финансы-(26596)Химия-(22929)Экология-(12095)Экономика-(9961)Электроника-(8441)Электротехника-(4623)Энергетика-(12629)Юриспруденция-(1492)Ядерная техника-(1748)

Обработка грузового двора




Под обработкой грузового двора понимается ряд операций, связанных с обслуживанием погрузочно-разгрузочных фронтов на грузовом дворе. К таким операциям относятся: подача вагонов под выгрузку или погрузку, перестановка порожних от фронта выгрузки к фронтам погрузки, уборка груженых или порожних от фронтов погрузки, выгрузки. Продолжительность каждой из этих операций складывается из затрат времени на отдельные передвижения (полурейсы) и элементы.

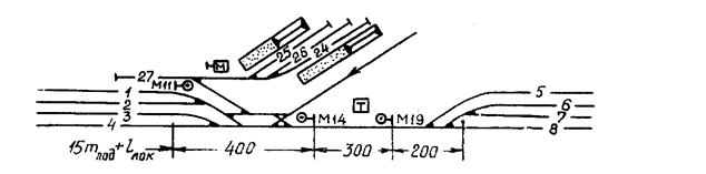
Подача вагонов под выгрузку. Вагоны в адрес грузового двора поступают в процессе роспуска на первый путь сортировочного парка согласно специализации путей. С этого пути они подлежат подаче на 24-й путь, где имеется три фронта выгрузки; крытый пакгауз, платформа для навалочных грузов и платформа для выгрузки техники. Поэтому перед подачей вагонов их нужно подформировывать в порядке расположения грузовых фронтов.

Продолжительность подачи складывается из затрат времени на следующие элементы:

подформирование на вытяжке;

следование на путь 27 (рис. 10);

следование на путь выгрузки;

расстановка вагонов по фронтам выгрузки;

следование локомотива обратно на 27 путь;

следование локомотива на вытяжной путь.

 
 

 

 


Рис. 10. Район грузового двора

 

Продолжительность подформирования определяется по формуле, мин,

tподф = А ∙ g + Б ∙ mпод + 1,8 (k – 1) + 0,3 , (17)

где

А, Б – нормативные параметры согласно Таблице 2.1 Приложения 2, мин;

k – число грузовых фронтов на данном грузовом пункте;

g – среднее число отцепов при подформировании группы вагонов (определяется делением среднего числа вагонов в подаче на среднее число вагонов в отцепе);

mпод среднее число вагонов в одной подаче, ваг.;

mпод = , (18)

здесь

Uгд – суточный размер вагонопотока, поступающего в адрес грузового двора;

nпод – среднее число подач за сутки; определяется в зависимости от выбранного порядка обработки грузового двора: по графику (несколько раз в сутки), по готовности и наличию вагонов к подаче, по заявке приемосдатчика грузового двора.

Если принять, что подача будет осуществляться два раза, то при суточном объеме работы, равном 10 вагонам, среднее число вагонов в подаче

mпод = = 5 ваг.

Согласно рис. 10, количество грузовых фронтов на выгрузочном пути равно 3 (k = 3). Нормативные параметры при подформировании вагонов на вытяжном пути тепловозом согласно [3] равны: А = 0,41 мин; Б = 0,32 мин. При среднем числе отцепов в процессе подформирования (g = 4) продолжительность подформирования согласно формуле (17)

tподф = 0,41 ∙ 4 + 0,32 ∙ 5 + 1,8 ∙ (3 – 1) + 0,3 =

= 1,64 + 1,60 + 3,60 + 1,00 = 7,84 мин

На расстановку вагонов к местам выгрузки отводится по одной минуте на один вагон. В это время входят операции по осмотру места выгрузки, подкладка тормозного башмака под вагоны, расцепка вагонов. Поэтому затрата времени в минутах на расстановку вагонов под выгрузку или погрузку будет численно равна количеству физических вагонов в одной подаче.

Затрата времени на передвижения вагонов в процессе подачи определяется по специальным таблицам, имеющимся в [3], где в зависимости от длины полурейса и числа вагонов дается затрата времени на операцию.

Расчет общей продолжительности подачи вагонов на грузовой двор сводится в табл. 10. Таблица 10

Наименование операций и полурейсов Длина полурейса, м Число вагонов Продолжительность, мин Примечание
Подформирование -   7,84 По формуле (17)
Следование за сигнал М‑II     4,13 Табл. 5.1(Прил.2)
Следование на ГД     2,06 Табл. 6.1(Прил.2)
Следование оп пути 24     2,71 Табл. 6.2(Прил.2)
Расстановка вагонов -   5,00 -
Следование локомотива за сигнал М‑II   - 1,66 Табл. 6.1(Прил.2)
Следование локомотива в сортировочный парк на вытяжку   - 2,91 Табл. 5.1(Прил.2)
Общая затрата времени - - 26,31 -

 

Таким образом, продолжительность подачи груженых вагонов на ГД составляет около 27 мин; ее можно округленно подразделить на следующие элементы, мин:

подформирование  
следование на ГД  
расстановка вагонов  
холостой рейс локомотива  
Итого  

 

Перестановка порожних вагонов. После выгрузки на 24-м пути вагоны подлежат перестановке на 25-й путь под погрузку. Продолжительность этой операции рассчитывается в табл. 11.

 

Таблица 11

Наименование операций и полурейсов Длина полурейса, м Число вагонов Продолжительность, мин Примечание
Следование локомотива за сигнал М-II   - 2,91 Табл. 5.1(Прил.2)
Следование локомотива на 24-й путь   - 1,66 Табл. 6.1(Прил.2)
Осмотр и сцепление вагонов -   5,00 -
Следование за сигнал М‑II     2, 29 Табл. 6.1(Прил.2)
Следование на ГД     2,06 Табл. 6.1(Прил.2)
Следование по пути 25     2,71 Табл. 6.2(Прил.2)
Расстановка вагонов под погрузку -   5,00 -
Следование локомотива за сигнал М‑II   - 1,66 Табл. 6.1(Прил.2)
Следование локомотива на вытяжной путь   - 2,91 Табл. 5.1(Прил.2)
Общая затрата времени - - 26,20 -

 

Как видно из табл. 11, продолжительность перестановки составляет около 27 мин, которые распределяются следующим образом, мин:

 

следование локомотива на ГД  
перестановка вагонов с 24-го на 25-й путь  
следование локомотива обратно  
Итого  

 

Уборка вагонов с грузового двора. После окончания грузовых операций на ГД по запросу старшего приемосдатчика вагоны выводятся с путей погрузки (выгрузки) и направляются на путь сортировочного парка согласно специализации. В данном примере ГД грузит в адрес станции Е (см. табл. 4), поэтому груженые вагоны необходимо после уборки с ГД направить на 12-й путь сортировочного парка, где накапливаются вагоны этого назначения (см. табл. 5). Среднее число вагонов в одной уборке принимается равным числу поданных (mуб = mпод), так как согласно заданию вагоны, выгруженные на ГД, тут же подлежат погрузке. Количество уборок будет 10:5 = 2. Продолжительность уборки вагонов рассчитана в табл. 12.

 

 

Таблица 12

Наименование операций и полурейсов Длина полурейса, м Число вагонов Продолжительность, мин Примечание
Следование локомотива за М-II   - 2,91 Табл. 5.1(Прил.2)
Следование локомотива на 25-й путь   - 1,66 Табл. 6.1(Прил.2)
Осмотр и сцепление вагонов на 25-ом пути -   5,00 -
Следование состава за сигнал М-II     2,29 Табл. 6.1(Прил.2)
Следование состава вагонами вперед на 12-й путь     4,13 Табл. 5.1(Прил.2)
Следование локомотива на вытяжной путь   - 1,01 Табл. 5.1(Прил.2)
Общая затрата времени -   17,00 -

 

Продолжительность уборки согласно табл. 12 равна 17 мин; их можно разделить на элементы, мин:

 

следование локомотива на ГД  
работа на ГД  
следование парк  
Итого  

 

Таким образом, при обработке грузового двора время затрачивается на следующие операции, мин:

подачу груженых t под = 27
перестановку порожних t перест = 27
уборку груженых t уб = 17

 

При совмещении подачи и уборки холостые рейсы из сортировочного парка на ГД и обратно отсутствуют.




Поделиться с друзьями:


Дата добавления: 2014-11-08; Просмотров: 1119; Нарушение авторских прав?; Мы поможем в написании вашей работы!


Нам важно ваше мнение! Был ли полезен опубликованный материал? Да | Нет



studopedia.su - Студопедия (2013 - 2026) год. Все материалы представленные на сайте исключительно с целью ознакомления читателями и не преследуют коммерческих целей или нарушение авторских прав! Последнее добавление




Генерация страницы за: 0.012 сек.